ISAIAS 1......21.¡Cómo has llegado, ciudad fiel,
a ser igual que una prostituta!
Antes toda tu gente actuaba con justicia
y vivía rectamente,
pero ahora no hay más que asesinos.
22 Eras plata y te has convertido en basura,
eras buen vino y te has vuelto agua.
23 Tus gobernantes son rebeldes
y amigos de bandidos.
Todos se dejan comprar con dinero
y buscan que les hagan regalos.
No hacen justicia al huérfano
ni les importan los derechos de la viuda.
24 Por eso, el Señor todopoderoso,
el Poderoso de Israel, afirma:
«¡Basta! Yo ajustaré las cuentas a mis enemigos.
Me vengaré de ellos.
25 Voy a levantar de nuevo mi mano contra ti
y a quemar por completo tu basura;
voy a limpiarte de toda tu impureza.
el Poderoso de Israel, afirma:
«¡Basta! Yo ajustaré las cuentas a mis enemigos.
Me vengaré de ellos.
25 Voy a levantar de nuevo mi mano contra ti
y a quemar por completo tu basura;
voy a limpiarte de toda tu impureza.
JEREMIAS....1...
11 El Señor se dirigió a mí, y me dijo:
«Jeremías, ¿qué es lo que ves?»
«Veo una rama de almendro» —contesté.
12 «Tienes razón —me dijo el Señor.
En efecto, voy a estar atento
a que mis palabras se cumplan.»
«Veo una rama de almendro» —contesté.
12 «Tienes razón —me dijo el Señor.
En efecto, voy a estar atento
a que mis palabras se cumplan.»
“Voy a hacer lo que tenga que hacer”
13 El Señor se dirigió a mí por segunda vez:
«¿Qué es lo que ves?» —me preguntó.
«Veo una olla hirviendo,.......(LAS COSAS estan que hierven ....... TOMAN UN GIRO RADICAL DESDE EL PODER DEL NORTE SOLTANODOSE SOBRE TODOS LOS QUE ME HAN DEJADO Y SE HAN ENTREGADO A dioses ajeno...falsas esperanzas en la codicia poder amor al dinero ).......«Veo una olla hirviendo
a punto de derramarse desde el norte» —contesté.
«Veo una olla hirviendo,.......(LAS COSAS estan que hierven ....... TOMAN UN GIRO RADICAL DESDE EL PODER DEL NORTE SOLTANODOSE SOBRE TODOS LOS QUE ME HAN DEJADO Y SE HAN ENTREGADO A dioses ajeno...falsas esperanzas en la codicia poder amor al dinero ).......«Veo una olla hirviendo
a punto de derramarse desde el norte» —contesté.
«Desde el norte va a derramarse la calamidad
sobre todos los habitantes de este país...(todos aquellos que se han entregado al placer del dinero facil y de mal proceder..............aquellos que creen que tiene el poder sobre uds mis hijos ..........................veran que no es asi vivio yo que !!!! basta yaaa!!!!..............mi mano esta contra ti oh morador de esta nacion por tus pecados y rebeliones que no confiesas ante mi ...........tu simplemente eres hombre polvo que al polvo volveras..........pero tu dices en tu corazon este infortunio no me alcanazara pero sabe que no solo a ti sino que atus genraciones has sevido de semilla de maldicion para los tuyos ............arrepientete este dia y quiza alcanzes misericordia redentora para tu salvacion ..........
si arrepientete...............hoyyyy !!!!
EVA FERNANDEZ ---TENGO MIEDO ..."TENGO MIEDO DE MI PRESIDENTE"........
QUE SE RETIRE PORQUE VA A DAÑAR AL PARTIDO NACIONAL ..VA A DAÑAR AL PAIS ........
LEER MAS.....http://www.elheraldo.hn/pais/1007363-466/eva-fern%C3%A1ndez-tengo-miedo-tengo-miedo-de-mi-presidente
NINGUNA AUTORIDAD ES IMPUESTA PARA HACER MAL AL BUENO SINO PARA CASTIGAR AL MALO ........ ROMAOS 13 ...3 Porque
los gobernantes no están para infundir terror a los que hacen lo bueno
sino a los que hacen lo malo. ¿Quieres librarte del miedo a la
autoridad? Haz lo bueno, y tendrás su aprobación, 4 pues
está al servicio de Dios para tu bien. Pero si haces lo malo, entonces
debes tener miedo. No en vano lleva la espada, pues está al servicio de
Dios para impartir justicia y castigar al malhechor.
“caiga quien caiga”
CASTIGA AL MALO DA JUSTICIA AL BUENO ...CUMPLE TU DEBER
CASTIGA AL MALO DA JUSTICIA AL BUENO ...CUMPLE TU DEBER
jeremias 1 version lenguaje actual .........
11-13 Luego Dios me hizo dos preguntas:
—Jeremías, dime, ¿qué ves?
Yo le respondí:
—Veo la rama de un almendro. Sus frutos son los primeros en madurar.
Entonces me dijo:
—Tienes razón. Yo soy el primero en hacer cumplir mis palabras. Pero, ¿qué más ves?
Le respondí:
—Veo en el norte una olla hirviendo, que está por volcarse hacia el sur.
14 Entonces Dios me explicó:
«Desde el norte voy a enviar un terrible castigo sobre todos los que viven en este país. 15 Ya
lo he decidido. Estoy reuniendo a todos los reinos del norte, y vendrán
y pondrán sus tronos a la entrada misma de Jerusalén. Atacarán a sus
habitantes y a todos los que viven en Judá, y se los llevarán presos. 16 Voy
a castigar a mi pueblo, porque todos ellos han sido muy malos. Adoraron
ídolos que ellos mismos hicieron, y les ofrecieron incienso, pero a mí
me abandonaron.
Para compartir esta nota utiliza los íconos que aparecen en el sitio.
Leer esta nota: http://www.laprensa.hn/honduras/1007292-410/eua-tras-cartel-formado-por-jueces-militares-alcaldes-y-polic%C3%ADas
Copyright © www.laprensa.hn
Leer esta nota: http://www.laprensa.hn/honduras/1007292-410/eua-tras-cartel-formado-por-jueces-militares-alcaldes-y-polic%C3%ADas
Copyright © www.laprensa.hn
Cualquier parecido con la realidad es pura coincidencia
Todo parecido con la realidad es pura coincidencia …!! No lo creo ¡! Nada es
suerte nada viene al azar ….”todo esta entrelazado …todo “…todo es ciclico y
todo lo que es ya fue y volverá a ser ……….ciclos de juicio ayer hoy y al futuro
…………..nadie escapa al lazo de castigo del Dios vivo solo es cuestión de tiempo …..EL
CAMINO DEL HOMBRE MALO SIEMPRE TENDRA EL MISMO FIN JUCICOS MUERTE CARCEL ……..MAL
PAGA EL diablo a quien bien le sirve….cosechas lo que siembras ..todos estamos
en este ciclo ……..sembremos para vida eterna ya……….
EE.UU., tras cartel formado por jueces, militares, alcaldes y policías
Fecha de publicación: 2016-10-11
Un atentado contra miembros de agencias antidrogas hizo que EE.UU. endureciera su postura ante “Los piratas del Caribe”, como han dado en llamar a un cartel compuesto por al menos dos jueces, ocho alcaldes, nueve diputados, cuatro militares activos, tres lancheros, y tres empresarios, que han sido identificados.
Una poderosa mafia de personajes influyentes asociados para delinquir y para facilitar el tráfico internacional de drogas por Honduras es la que está siendo desbaratada con el apoyo del Gobierno de Estados Unidos.
Informes de inteligencia establecen las conexiones que existen entre militares activos, policías, jueces, fiscales, alcaldes y empresarios con miembros del cartel del Atlántico, cuyo presunto cabecilla, Wilter Neptaly Blanco Ruiz, es mencionado por la Embajada de Estados Unidos como sujeto de investigación por narcotráfico o corrupción.
Los nombres de los personajes a quienes se sigue la pista desde hace varios meses se mantienen en reserva, con el fin de no entorpecer una operación militar binacional en curso actualmente.
La fuente señaló la existencia de un archivo con expedientes de al menos 35 personas señaladas de pertenecer a una poderosa mafia y que, según los informes de inteligencia, fueron bautizados desde hace unos diez meses como “Los Piratas del Caribe”, por su capacidad de interactuar para evadir los cercos aéreos y marítimos.
Limpieza en casa mas profunda …………..por los peces gordos ……….el poder
del norte en accion.....
Leer
esta nota: http://www.elheraldo.hn/pais/1007294-466/un-nuevo-esc%C3%A1ndalo-sacude-la-corte-suprema-de-justicia
Copyright © www.elheraldo.hn
Copyright © www.elheraldo.hn
no querian robarse el expediente de bertha caceres .....¿y entonces que ? ...por favor !!!!....... por favor !!!!
leer mas......
narcotrafico y enriquecimiento ilicito delitos que mas achacan a policias
que pasa en el atlantico nuestro patio climatico ........ como van las anomalias climaticas .........
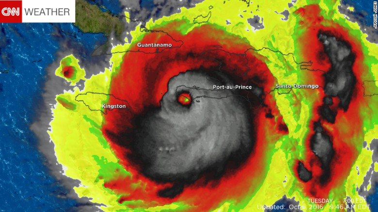
la sonrisa de la muerte visualizada en esta imagen del huracan matthew
La trágica predicción de un presentador por el huracán Mattew....leer mas...http://www.lavanguardia.com/television/20161010/41894983549/huracan-matthew-presentador-tiempo-prediccion.html
“Si esto se mueve 30 kilómetros hacia el oeste, tú y todas las personas que conoces están muertos. Todos ustedes, porque no pueden sobrevivir a esto. No es posible, a menos que tengas mucha, mucha suerte. Y tus hijos también se van a morir”. Así de dramática y realista se mostró Shepard Smith, hombre del tiempo de la cadena Fox News ante la llegada del huracán Matthew a Florida.
El hombre del tiempo de la cadena Fox News lanza una dura
advertencia para aquellos que no huyan de Florida
un evento totalmente inusual en fuerza movimiento erraticos...alcanze de paises...lento muy lento como todos los eventos que se estan produciendo actualmente en el atlantico ....su curso es erratico y su despalzamiento lento y casi estacionarios .........
tormenta nicol que no va para ningun lado
mira esta imagen del atlantico ayer..........y todos los eventos en desarrollo
esta imagen es de hoy..........
super cargado de eventos el oceano atlantico
"que DIOS nos ayude a todos "
¿Un 'cisne negro' o un cambio permanente? Un fenómeno climático de consecuencias desconocidas
Publicado: 9 sep 2016 16:23 GMT | Última actualización: 10 sep 2016 09:55 GMT...LEER MAS...https://actualidad.rt.com/actualidad/218325-cambio-patron-viento-estratosfera
Por primera vez en más de 60 años, los
científicos han observado cambios en el patrón de vientos sobre las
regiones ecuatoriales.
El cambio de patrón de la circulación de los vientos que se mueven en la zona de la estratosfera que se encuentra por encima de las regiones tropicales de la Tierra —un fenómeno conocido como oscilación cuasibienal, que no se había observado en décadas— aún no ha causado un impacto inmediato en el clima de la Tierra, pero ha despertado el interés de varios científicos de la NASA
ALERTAS Y LISTOS ..."DIOS ESTA CON SU PUEBLO"....¿PERO NOSOTROS ESTAMOS CON DIOS ?
ES TIEMPO DE CONECTARSE CON DIOS Y MANTENERSE ASI ...
SE VIGILANTE SII HAZLO HOY
CONTINUAREMOS.............
actualizacion..........
El cambio de patrón de la circulación de los vientos que se mueven en la zona de la estratosfera que se encuentra por encima de las regiones tropicales de la Tierra —un fenómeno conocido como oscilación cuasibienal, que no se había observado en décadas— aún no ha causado un impacto inmediato en el clima de la Tierra, pero ha despertado el interés de varios científicos de la NASA
ALERTAS Y LISTOS ..."DIOS ESTA CON SU PUEBLO"....¿PERO NOSOTROS ESTAMOS CON DIOS ?
ES TIEMPO DE CONECTARSE CON DIOS Y MANTENERSE ASI ...
SE VIGILANTE SII HAZLO HOY
CONTINUAREMOS.............
actualizacion..........
Por no entregar al hermano del presidente de Honduras, EE.UU. se llevará a oficial militar
Por no haber entregado a Antonio Hernández, hermano del presidente de Honduras, Juan Orlando Hernández, autoridades estadounidenses informaron al capitán Santos Rodríguez Orellana que será procesado por narcoterrorismo.
El oficial se encuentra confinado en una unidad militar de la capital hondureña a la espera de ser entregado al gobierno de EE.UU. para que sea juzgado por conspirar para atentar, junto a Hernández, contra el embajador James Nealon.
En el informe al cual tuvo acceso Radio Globo y ConfidencialHN, se menciona como el jefe personal del ejército José Regalado Tábora, quien fue jefe de la tarea conjunta en la Mosquitia, en su momento protegió a supuestos narcotraficantes que operaban ejecutando actos reñidos contra la ley.
Una conversación sostenida el pasado fin de semana con un oficial de la Agencia Antidrogas de EE.UU. (DEA), sólo conocido por el apellido Matthews, le advirtió Rodríguez Orellana –condecorado por el ejército norteamericano– que decidiera si entegaba al hermano del titular del régimen nacionalista o iba preso por terrorismo.....leer mas en https://confidencialhn.com/2016/10/12/por-no-entregar-al-hermano-del-presidente-hernandez-ee-uu-se-llevara-a-oficial-militar-de-honduras/
El periodismo necesita inversión. Para compartir esta nota utiliza los íconos que aparecen en la página.
Leer esta nota: http://www.elheraldo.hn/pais/1007294-466/un-nuevo-esc%C3%A1ndalo-sacude-la-corte-suprema-de-justicia
Copyright © www.elheraldo.hn
Leer esta nota: http://www.elheraldo.hn/pais/1007294-466/un-nuevo-esc%C3%A1ndalo-sacude-la-corte-suprema-de-justicia
Copyright © www.elheraldo.hn
El periodismo necesita inversión. Para compartir esta nota utiliza los íconos que aparecen en la página.
Leer esta nota: http://www.elheraldo.hn/pais/1007294-466/un-nuevo-esc%C3%A1ndalo-sacude-la-corte-suprema-de-justicia
Copyright © www.elheraldo.hn
Leer esta nota: http://www.elheraldo.hn/pais/1007294-466/un-nuevo-esc%C3%A1ndalo-sacude-la-corte-suprema-de-justicia
Copyright © www.elheraldo.hn









































No hay comentarios:
Publicar un comentario
gracias por participar..........